temporada ciclónica
Indomet vigila onda tropical con potencial ciclónico en próximos siete días
Redacción Listín Diario
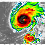
El Indomet precisó que este fenómeno posee una probabilidad de 20% de convertirse en ciclón en los próximos... leer más
02.10.2025
